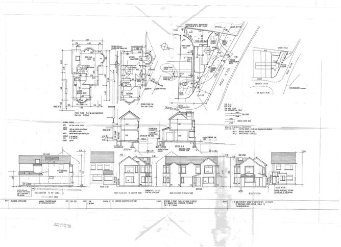
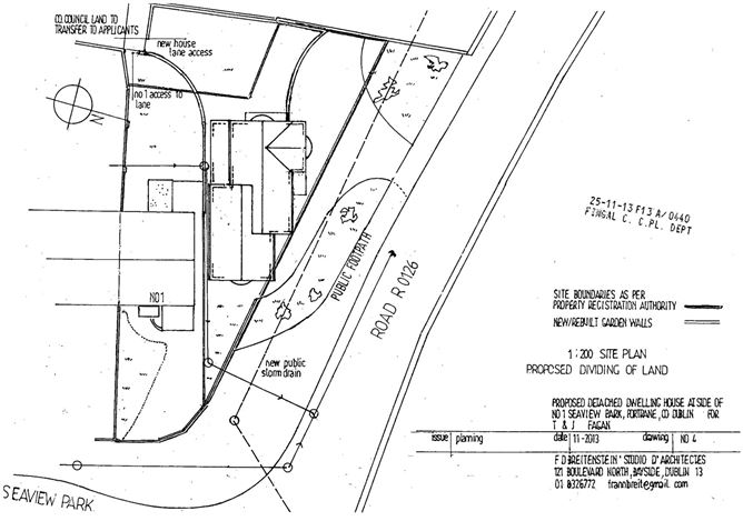
Flynn Estate Agents are delighted to bring 1 Seaview Park in Portrane to the open market. This is a once in a lifetime opportunity to purchase a home and site that benefits from one of the best coastal and sea views along the North County Dublin coastline at the south end of Portrane Beach. The site extends to approximately 0.185 of an acre (750 sq. metres) and currently comprises a great 3 bed end of terrace family home and significant space to the side and rear. Utilising this space there is lapsed planning permission (F13A/0440) for the construction of a detached 3 bedroomed family home of 126 sq.m of internal space. Rarely has an opportunity that combines a ready to go property, an opportunity to build and unparalleled views come to the market so call us to find out more.
The existing property is a well maintained and `ready to go` family home of 85 sq.m. that makes the most of the exceptional views. It is laid out with a porch and hallway giving access to the lounge to the front and kitchen/diner to the rear. The picture windows to the front take in the panorama from Lambay Island to the East up to Rush in the North. The kitchen/ diner to the rear has tiled floors and modern units with lots of storage and prep space. To the rear is an incredibly useful utility and storage room with a wealth of built in shelving and storage. The rear door leads out to an attached wood and glass space previously used as a green house, but in need of demolition. The first floor has a large master bedroom to the front to enjoy the views, great sized second and third bedrooms and a low maintenance family bathroom with tiled walls, a poured resin floor and a three piece bathroom suite.
Externally, the front of the plot currently has gated access to off street parking and a small lawn. Attached to the side of the building, but accessed via an up and over door to the front and second door to the rear is a brick garage with power and light. Directly to the rear of the property is a walled outside space with a combination of paving and beds that has recently been cleared. Outside of this and to the rear and side of the plot, is land that has also recently been cleared and provides the space for the potential new build as described in the lapsed permission.
Subject to planning permission, this site offers a wealth of possibility for a home of rare quality. The previous approved application detailed a detached 3 bed family home of 126 sq.m with open plan living and an array of glazing to frame the stunning views, whilst still maintaining the original house. However, the possibilities of this opportunity are only matched by the quality of the views.
Portrane is a quiet beach community tucked away between the Estuaries of Malahide and Rogerstown in North County Dublin. This quiet coastal location ensures that the community remains free from significant development and is still focused around the beach. There is a shop, pub, takeaway, football team, bus stop and holiday park but the majority of facilities are provided by the nearby town of Donabate a few minutes drive away. Donabate also has a mainline train station providing quick access to Dublin city and the M1 is a 10 minute drive giving access to Dublin International Airport, the M50 and the wider Dublin region.
All measurements and boundary lines are approximate and are provided for illustrative and marketing purposes only; they do not form part of any contract and should not be relied upon as exact representations.
Accommodation
Porch - 2.09m (6'10") x 1.78m (5'10")
With wood effect laminate floor and open access to the hallway.
Hallway - 3.98m (13'1") x 1.81m (5'11")
With wood effect laminate floor, doors to lounge, kitchen/diner and under stairs storage.
Lounge - 3.67m (12'0") x 3.94m (12'11")
With wood effect laminate floor.
Kitchen / Diner - 2.5m (8'2") x 5.62m (18'5")
With tiled floor. The kitchen has a range of matching base and eye level units including an integrated double electric oven, five ring gas hob with overhead extractor hood, stainless steel sink, integrated dishwasher and doors to utility and under stairs storage
Utility Room - 1.51m (4'11") x 2.48m (8'2")
With tiled floors, space and plumbing for washing machine and tumble dryer, built in shelving, storage and desk and a door to the rear.
Landing - 2.2m (7'3") x 2.32m (7'7")
With carpets and doors to bedrooms 1, 2 and 3 and bathroom.
Bedroom 1 - 3.95m (13'0") x 30.16m (98'11")
With carpet and built in wardrobe.
Bedroom 2 - 2.8m (9'2") x 2.91m (9'7")
With carpet and built in wardrobe.
Bedroom 3 - 2.33m (7'8") x 2.88m (9'5")
With carpets and built in wardrobes.
Bathroom - 2m (6'7") x 1.56m (5'1")
With tiled walls and poured resin floor, a panel bath with overhead electric shower, wash hand basin and WC.
Features
Stunning Views
Development Opportunity
Approx 750 sq.m site
3 Bed end of terrace
Off street parking
Picture windows
Quiet location
No onward chain
BER Details
BER: D1 BER No: 100183466 Energy Performance Indicator: 226.51 kWh/m2/yr
Negotiator
Kimberley Fagan
Features
Parking
Description
Flynn Estate Agents are delighted to bring 1 Seaview Park in Portrane to the open market. This is a once in a lifetime opportunity to purchase a home and site that benefits from one of the best coastal and sea views along the North County Dublin coastline at the south end of Portrane Beach. The site extends to approximately 0.185 of an acre (750 sq. metres) and currently comprises a great 3 bed end of terrace family home and significant space to the side and rear. Utilising this space there is lapsed planning permission (F13A/0440) for the construction of a detached 3 bedroomed family home of 126 sq.m of internal space. Rarely has an opportunity that combines a ready to go property, an opportunity to build and unparalleled views come to the market so call us to find out more.
The existing property is a well maintained and `ready to go` family home of 85 sq.m. that makes the most of the exceptional views. It is laid out with a porch and hallway giving access to the lounge to the front and kitchen/diner to the rear. The picture windows to the front take in the panorama from Lambay Island to the East up to Rush in the North. The kitchen/ diner to the rear has tiled floors and modern units with lots of storage and prep space. To the rear is an incredibly useful utility and storage room with a wealth of built in shelving and storage. The rear door leads out to an attached wood and glass space previously used as a green house, but in need of demolition. The first floor has a large master bedroom to the front to enjoy the views, great sized second and third bedrooms and a low maintenance family bathroom with tiled walls, a poured resin floor and a three piece bathroom suite.
Externally, the front of the plot currently has gated access to off street parking and a small lawn. Attached to the side of the building, but accessed via an up and over door to the front and second door to the rear is a brick garage with power and light. Directly to the rear of the property is a walled outside space with a combination of paving and beds that has recently been cleared. Outside of this and to the rear and side of the plot, is land that has also recently been cleared and provides the space for the potential new build as described in the lapsed permission.
Subject to planning permission, this site offers a wealth of possibility for a home of rare quality. The previous approved application detailed a detached 3 bed family home of 126 sq.m with open plan living and an array of glazing to frame the stunning views, whilst still maintaining the original house. However, the possibilities of this opportunity are only matched by the quality of the views.
Portrane is a quiet beach community tucked away between the Estuaries of Malahide and Rogerstown in North County Dublin. This quiet coastal location ensures that the community remains free from significant development and is still focused around the beach. There is a shop, pub, takeaway, football team, bus stop and holiday park but the majority of facilities are provided by the nearby town of Donabate a few minutes drive away. Donabate also has a mainline train station providing quick access to Dublin city and the M1 is a 10 minute drive giving access to Dublin International Airport, the M50 and the wider Dublin region.
All measurements and boundary lines are approximate and are provided for illustrative and marketing purposes only; they do not form part of any contract and should not be relied upon as exact representations.
Accommodation
Porch - 2.09m (6'10") x 1.78m (5'10")
With wood effect laminate floor and open access to the hallway.
Hallway - 3.98m (13'1") x 1.81m (5'11")
With wood effect laminate floor, doors to lounge, kitchen/diner and under stairs storage.
Lounge - 3.67m (12'0") x 3.94m (12'11")
With wood effect laminate floor.
Kitchen / Diner - 2.5m (8'2") x 5.62m (18'5")
With tiled floor. The kitchen has a range of matching base and eye level units including an integrated double electric oven, five ring gas hob with overhead extractor hood, stainless steel sink, integrated dishwasher and doors to utility and under stairs storage
Utility Room - 1.51m (4'11") x 2.48m (8'2")
With tiled floors, space and plumbing for washing machine and tumble dryer, built in shelving, storage and desk and a door to the rear.
Landing - 2.2m (7'3") x 2.32m (7'7")
With carpets and doors to bedrooms 1, 2 and 3 and bathroom.
Bedroom 1 - 3.95m (13'0") x 30.16m (98'11")
With carpet and built in wardrobe.
Bedroom 2 - 2.8m (9'2") x 2.91m (9'7")
With carpet and built in wardrobe.
Bedroom 3 - 2.33m (7'8") x 2.88m (9'5")
With carpets and built in wardrobes.
Bathroom - 2m (6'7") x 1.56m (5'1")
With tiled walls and poured resin floor, a panel bath with overhead electric shower, wash hand basin and WC.
Features
Stunning Views
Development Opportunity
Approx 750 sq.m site
3 Bed end of terrace
Off street parking
Picture windows
Quiet location
No onward chain
BER Details
BER: D1 BER No: 100183466 Energy Performance Indicator: 226.51 kWh/m2/yr