Plot Of Ground At Barrack Rd, Bangor Erris, Ballina, Co. Mayo.
1/1
AMV €55,000

Plot Of Ground At Barrack Rd, Bangor Erris, Ballina, Co. Mayo., 000 0000

Description

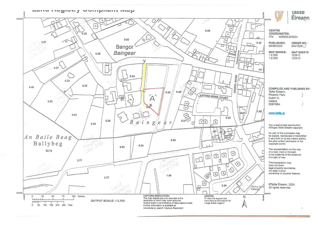
Plot of Ground for Sale at Barrack Rd, Bangor Erris by DNG Online Auction on Friday 20th February at 11am. • C 0.214 Hectares/0.52 Acres of ground. • Original planning permission for 2 dwellings. • Planning permission now expired. • Town centre location. • Services adjacent. Link to register for the auction: https://michaelboland.dngauctions.ie/lot/details/172663

Accommodation

Negotiator

Yvonne Buckley

Auction Location

Auction Time

Show more...
G
F
E2
E1
D2
D1
C3
C2
C1
B3
B2
B1
A3
A2
A1

Current Rating:

Built:

Potential Rating:

Heating:

BER Number:

Heating Bill: € monthly estimate

*All retrofit costs are estimates - Find out more

LEARN MORE

Similar properties for sale nearby Bangor Erris
DNG Michael Boland
Tel: 096 7...
PSRA No. 002072

Date created: Jan 30, 2026

View this search in machine-readable form:

Download JSON feed of this listing
DNG Michael Boland
DNG Michael Boland
PSRA Licence No. 002072
Call: 096 7...