Description
Accommodation
Directions
Negotiator
Show more...



















| Beds | |
| Price | from €4,500 / year |
| Property Type | Farm Land |
| Size | 0 meters2 |
| Energy Rating | BER- |
| Refreshed on | Apr 16, 2026 |
| Eircode | |
| Group Name | Spencer Auctioneers |
| Sales License Number | 003722 |
Description
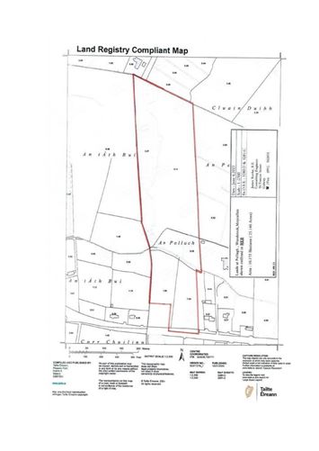
OFFERS FOR THIS VALUABLE KEEP PAYABLE IN FULL AT THE START OF THE LETTING ARE INVITED OFFERS SHOULD STATE WHETHER THE TENANT INTENDS TO GRAZE CATTLE, SHEEP OR HORSES. AND ALL ENQUIRIES ARE TO BE MADE TO THE AUCTIONEER. The land is level grazing land in one parcel with frontage to the main N59 Galway to Clifden Road. The lands to the South are mainly stockproof (with exception of the gateway leading to the lands). The lands to the North are not fully stockproof. Maps of the land are attached. The tenant will have to provide public liability insurance and undertake to ensure livestock are contained. The land is currently vacant.
Accommodation
Notice All photographs are provided for guidance only.
Directions
From Kelehans pub, travel West for 2 miles and the property will be found on the right hand side marked by our `TO LET"` board, opposite Eircode H91 N8KT.
Negotiator
Luke Spencer
Date created: Apr 16, 2026
View this search in machine-readable form:
Download JSON feed of this listing